40代の人気治療
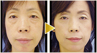
40代に人気・ヒアルロン酸注入
やつれた目元・クマを改善
メスを使用せず、注射器でシワの部分にヒアルロン酸を注入し、シワを無くす方法です。シワが気になる部分の真皮層にヒアルロン酸を注入することで、肌の中から押し上げてシワを改善します。

40代に人気・フォトフェイシャル
しみ・そばかす・くすみを消す
フォトフェイシャルは光で肌トラブルを解決する、 新しい美肌治療です。
有効な光をお顔全体に当てることで皮膚内のメラニン 色素(シミやそばかすなど)にダメージを与えて徐々に 薄くしていく効果があります。

50代の人気治療
50代に人気・ミラクルリフト
頬のタルミ・ほうれい線を改善
特殊な糸を挿入して、お顔のたるみを改善できます。従来のフェイスリフトと違い、皮膚を切除することなく、皮膚のたるみを引き上げます。 施術時間も短時間で終了し、ダウンタイムが短いのが特徴です。
糸を挿入した周囲にコラーゲンが生成されるため、肌のハリを出すのにも有効的です。

50代に人気・サーマクール
顔全体のタルミをリフティング
高周波を皮膚表面に照射し、たるみを引き上げる方法です。
たるみを引き上げることでほうれい線を消す効果も期待できます。
「切らないたるみ治療」として、非常に人気があります。

60代の人気治療
60代に人気・フェイスリフト
タルミをなくして10歳若く見せる
下垂して『たるみ』になってしまった余剰な皮膚を切除して、若見え効果が得られます。ダイレクトに『たるみ』そのものを取り除く方法なので、見た目の若見え効果が高い方法です。
特に『たるみのせいで顔の輪郭が変わってしまった』、『前より顔が長く見える』と悩まれている60代以上の方には大変人気があります。

60代に人気・シルエットリフト
顔全体のタルミをリフティング
シルエットリフトは、特殊な糸を用いて、たるみを引き上げるリフトアップ術です。
シルエットリフトで使用する糸は、「バイオコーン」と呼ばれる吸収性のコーンと、本体の非吸収性のポリプロピレン糸が組み合わさっているのが特徴です。このコーンがしっかりと皮下組織をつかんでたるみを引き上げるため、従来の方法よりも、さらに高いリフトアップ効果が望めます。

60代に人気・下瞼タルミ取り
下瞼のタルミ・膨らみをなくして若々しい目元に
年齢と共に皮膚のハリが失われていくと皮膚に『たるみ』が生じて瞼が下がってきます。すると皮膚が重力で下がり膨らみのような状態になります。この症状は『実年齢よりも顔が老けて見えてしまう』、『いつも疲れた表情に見えてしまう』など、見た目の年齢に大きくかかわってきます。いつまでも若々しい表情を保ちたい方に人気の高い施術です。

-

手術はもちろんのこと、カウンセリングにも充分に時間を取って丁寧に行います。患者様のご希望お聞きし、納得をいただいてから手術を行います。
-

『仕上がりの美しさ』を常に求めるため、専門のドクターが充分に手術の時間枠を確保し、ゆとりをもって丁寧に手術を行います。
-

当院は、美容外科専門医集団です。仕上がりの美しさを追求するべく日々研鑽に努めています。
-

医療資格のないカウンセラー・コンシェルジュ・エステティシャン等は在籍しておりません。資格のある医療従事者がすべての患者様へ対応させていただきます。
-

すべての患者様に満足していただけるよう、手術後のアフターケアまで、しっかりとサポート致します。
-

患者様に料金をしっかり提示しご納得いただいたうえで施術を行っています。

未成年の方の診察は、保護者の親権者同意書が必要です。
>親権者同意書ダウンロードSHIROMOTO’s POINT
SEO用テキスト全ページユニークで
SEO用テキスト全ページユニークな原稿にする必要がございます。必要ないページは削除で。城本クリニックは、医師が安全を第一に考え施術を行っている美容専門クリニックです。
充分なカウンセリング、アドバイス、しっかりしたアフターケアシステムを整えることで。

















BBX PLUS
ヘリオケア








